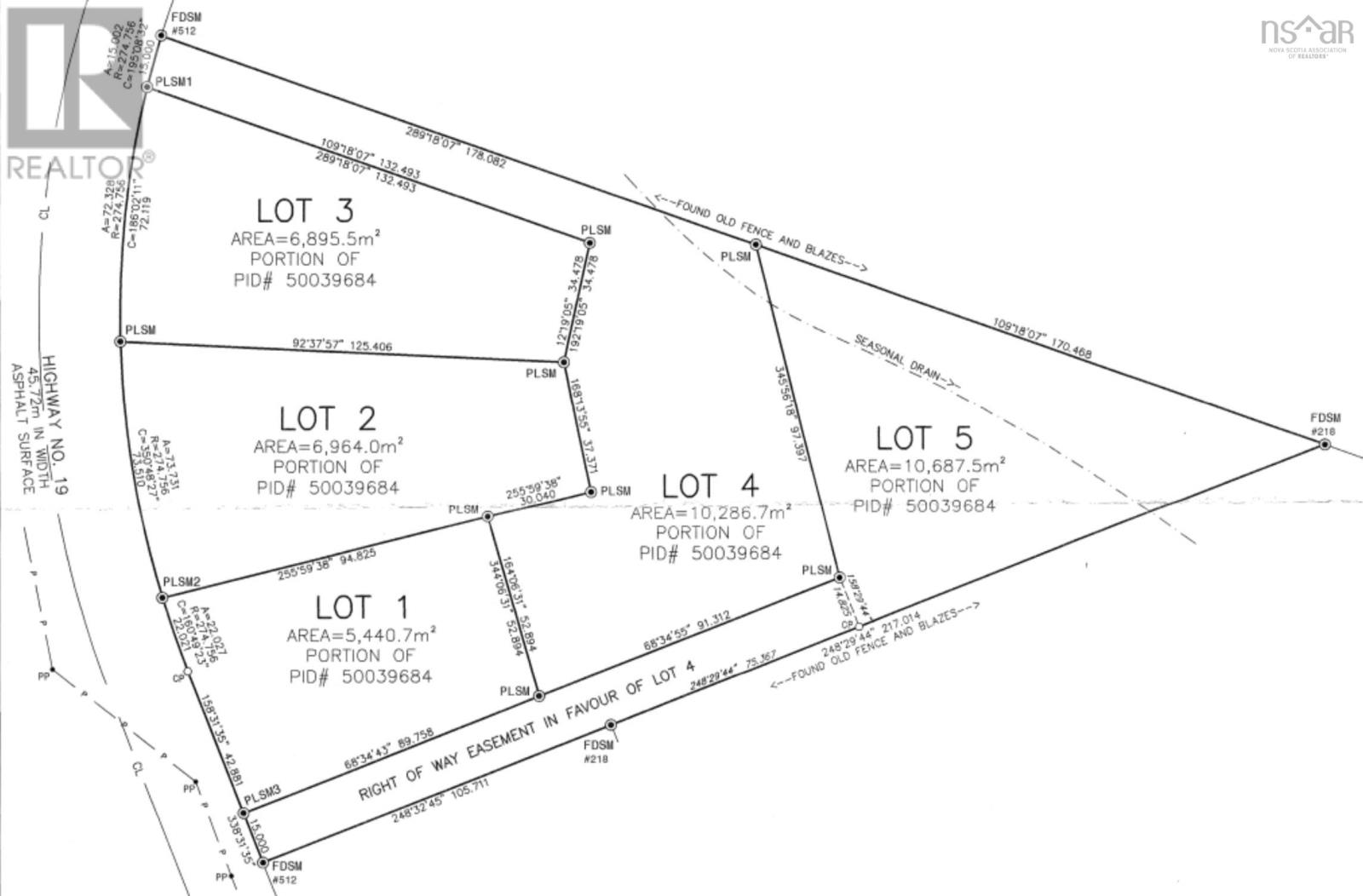
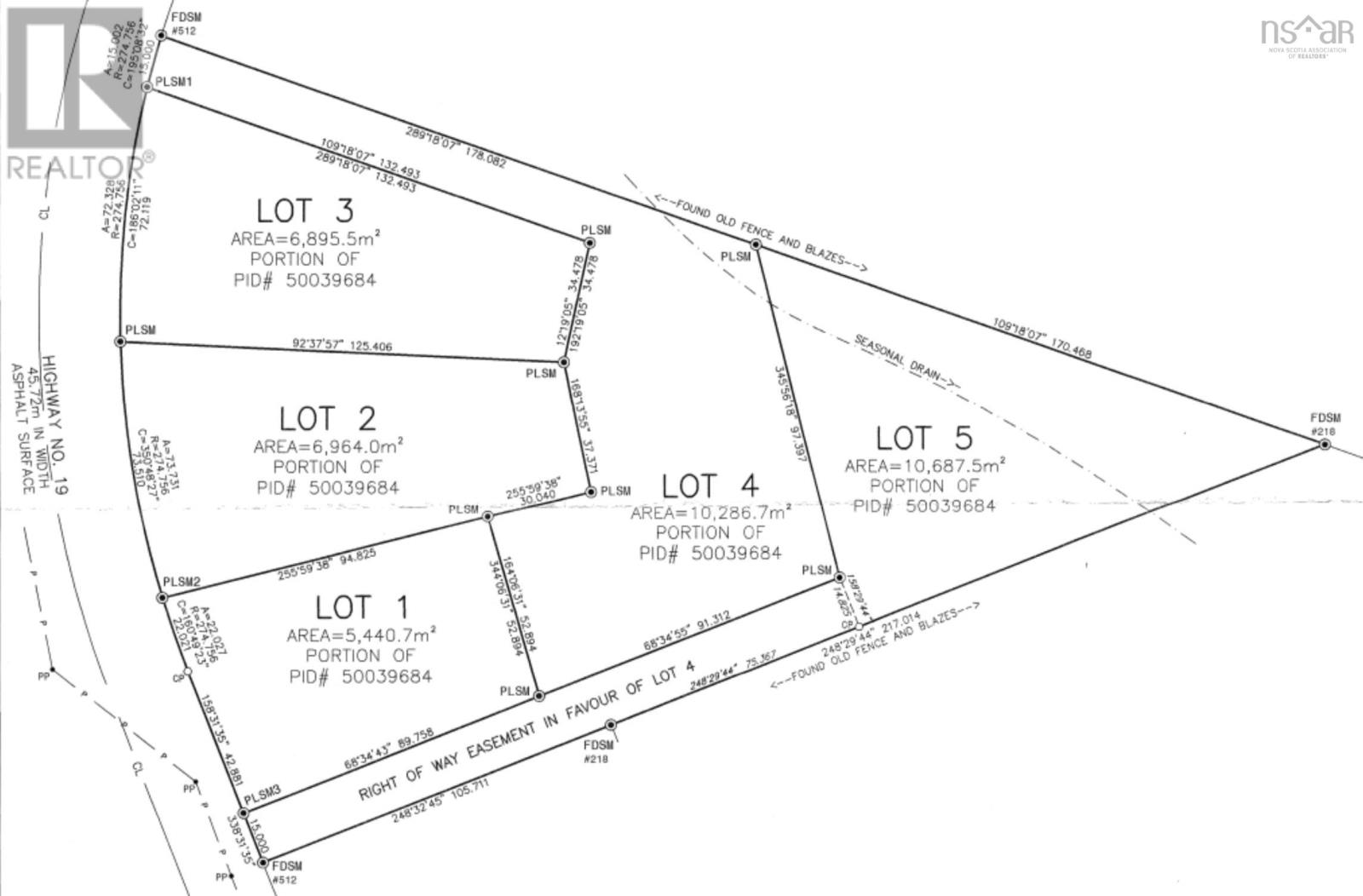
Lot 3 Highway 19, Hawleys Hill, MABOU

2024-10-10
 

Quick Summary

Location
Lot 3 Highway 19, Hawleys Hill, MABOU, Nova Scotia B0E1X0
Price
$52,000 CAD
Status:
For Sale
Property Type:
Vacant Land

MLS®#202424380

Property Description

Opportunity awaits! Lot 3 totals 1.70 acres along Highway 19 in Hawleys Hill. This is a surveyed parcel with views of Smithville, offering a gradual slope, while the majority of the land is cleared and prepped for building. A buffer of trees remains between Lot 2 and 3, to allow privacy from your neighbor. A drilled well has been installed, and a partial driveway is in place. Power is available across the road. Located just outside of the community of Mabou, and about 15 minutes from Inverness, home of Cabot Links and Cabot Cliffs golf courses, all local amenities are close by. Welcome home, to Mabou! (id:32467)

Property Features

Building

  • Fireplace: No
  • Utility Water: Drilled Well

Features

  • Feature: Sloping, Partially cleared

Land

  • Land Size: 1.7039 ac
  • Sewer: No sewage system

Ownership

  • Type: Freehold

Information entered by Engel & Volkers
Listing information last updated on: 2026-02-25 20:09:08


Book your free home evaluation with a 1% REALTOR® now!


How much could you save in commission selling with One Percent Realty?

Slide to select your home's price:

$500,000

Your One Percent Realty Commission savings

$500,000

Savings calculated using One Percent Realty East Inc's posted commission rates compared to a brokerage charging 5%. (HST is extra). Not all agents charge the same.

One Percent Realty's top FAQs

Q
What is the deal exactly, with One Percent Realty East?

We are a fully licensed real estate brokerage offering the same top-tier services and exposure as the big names in the industry—but at a lower commission rate. Here's what you can expect when you work with us: ✅ Full MLS® system listing ✅ Exposure on all major internet real estate platforms ✅ Professional signage (where permitted) ✅ Property showings and open houses ✅ Strategic advertising to attract buyers ✅ Skilled negotiation to secure the best deal ✅ Seamless conveyancing to ensure a smooth closing With us, you’re getting everything you need to sell your property successfully—just without the high commission fees.

Q
What do you charge?

Simple, Transparent Pricing—No Surprises! Our commission structure is designed to save you money while providing top-tier service: • Residential Properties Under $400,000: $7,950 • Residential Properties Between $400,000 and $900,000: $9,950 • Residential Properties Over $900,000: 1% of the sale price + $950 Plus applicable taxes. Optional Flexibility: You have the option to offer additional commission to the buyer's agent. The choice is entirely yours! For commercial properties, farms, or development properties, please contact a One Percent Realty East agent directly or fill out the market evaluation form at the bottom right of our website. An agent will be in touch to discuss your specific needs. It’s that simple. Maximum service, minimum commission!

Q
Are your listings on MLS®, REALTOR.ca® and shared across the web?

Yes, yes, and yes! Our listings receive maximum exposure on the MLS® system, REALTOR.ca®, and all major real estate websites, ensuring your property gets seen by as many potential buyers as possible. With us, you’re never compromising on visibility—just saving on commission!


Learn more about the One Percent Realty Deal