10 acres Summit Road, SYLVESTER

2025-09-02
 

Quick Summary

Location
10 acres Summit Road, SYLVESTER, Nova Scotia B0K2A0
Price
$150,000 CAD
Status:
For Sale
Property Type:
Vacant Land

MLS®#202522158

Property Description

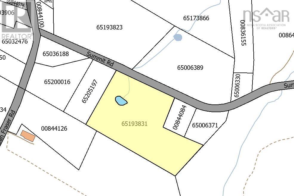
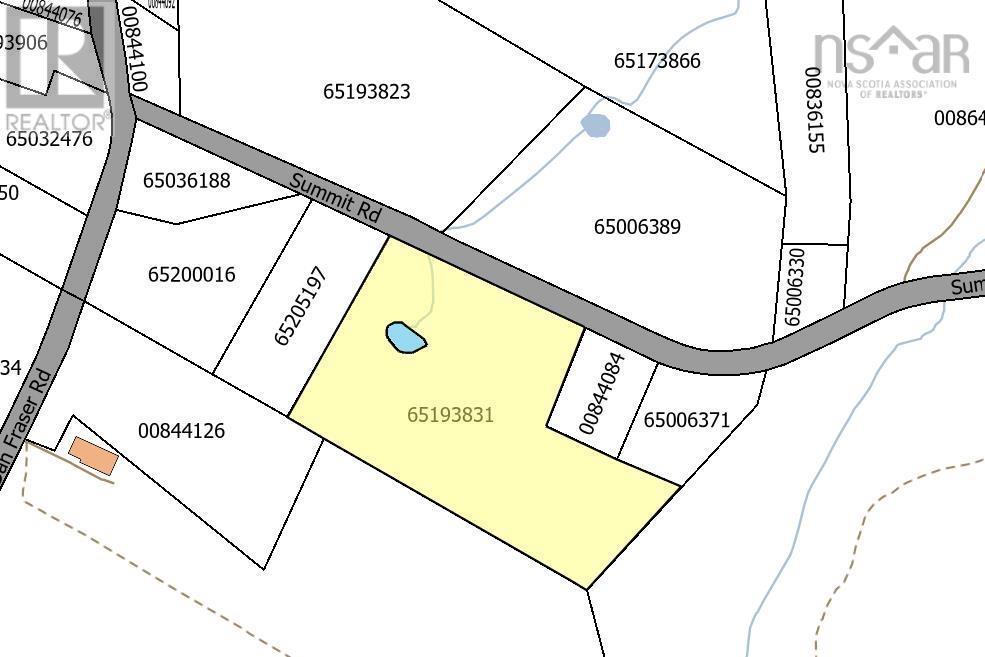
10 Acres with Pond - Summit Road (Just off Alma Road) Opportunity meets versatility on this 10-acre parcel with subdivision potential in a highly convenient location. With generous road frontage and a desirable mix of open and wooded land, this property offers optionsnow and into the future. Subdivision-Friendly Layout Size, frontage, and configuration make this parcel well-suited for exploring future subdivision (subject to approvals). Partially Cleared & Wooded Open areas for building or development, balanced with mature trees for privacy and natural appeal. Pond on the Property A rare and valuable feature that adds character, recreation, and visual interest. Prime Location Just down the road from Northumberland Regional High School and minutes to town amenities. Flexible Use Ideal for a private homestead, hobby farm, opportunity with development in mind. With utilities nearby and a peaceful setting that still keeps you close to everything, this is a standout acreage for buyers thinking both lifestyle and long-term value. A chance to secure land with real future potential. (id:32467)

Property Features

Building

  • Fireplace: No
  • Utility Water: None

Features

  • Feature: Level lot, Treed, Partially cleared, Softwood bush

Land

  • Land Size: 10 ac
  • Sewer: No sewage system

Ownership

  • Type: Freehold

Information entered by EXP Realty of Canada Inc.
Listing information last updated on: 2026-04-11 01:44:58


Book your free home evaluation with a 1% REALTOR® now!


How much could you save in commission selling with One Percent Realty?

Slide to select your home's price:

$500,000

Your One Percent Realty Commission savings

$500,000

Savings calculated using One Percent Realty East Inc's posted commission rates compared to a brokerage charging 5%. (HST is extra). Not all agents charge the same.

One Percent Realty's top FAQs

Q
What is the deal exactly, with One Percent Realty East?

We are a fully licensed real estate brokerage offering the same top-tier services and exposure as the big names in the industry—but at a lower commission rate. Here's what you can expect when you work with us: ✅ Full MLS® system listing ✅ Exposure on all major internet real estate platforms ✅ Professional signage (where permitted) ✅ Property showings and open houses ✅ Strategic advertising to attract buyers ✅ Skilled negotiation to secure the best deal ✅ Seamless conveyancing to ensure a smooth closing With us, you’re getting everything you need to sell your property successfully—just without the high commission fees.

Q
What do you charge?

Simple, Transparent Pricing—No Surprises! Our commission structure is designed to save you money while providing top-tier service: • Residential Properties Under $400,000: $7,950 • Residential Properties Between $400,000 and $900,000: $9,950 • Residential Properties Over $900,000: 1% of the sale price + $950 Plus applicable taxes. Optional Flexibility: You have the option to offer additional commission to the buyer's agent. The choice is entirely yours! For commercial properties, farms, or development properties, please contact a One Percent Realty East agent directly or fill out the market evaluation form at the bottom right of our website. An agent will be in touch to discuss your specific needs. It’s that simple. Maximum service, minimum commission!

Q
Are your listings on MLS®, REALTOR.ca® and shared across the web?

Yes, yes, and yes! Our listings receive maximum exposure on the MLS® system, REALTOR.ca®, and all major real estate websites, ensuring your property gets seen by as many potential buyers as possible. With us, you’re never compromising on visibility—just saving on commission!


Learn more about the One Percent Realty Deal