1 Whipple Street, YARMOUTH

2025-12-05
 

Quick Summary

Location
1 Whipple Street, YARMOUTH, Nova Scotia B5A1W3
Price
$196,900 CAD
Status:
For Sale
Property Type:
Single Family
Area:
1540 sqft
Bedrooms:
3
Bathrooms:
2

MLS®#202529071

Property Description

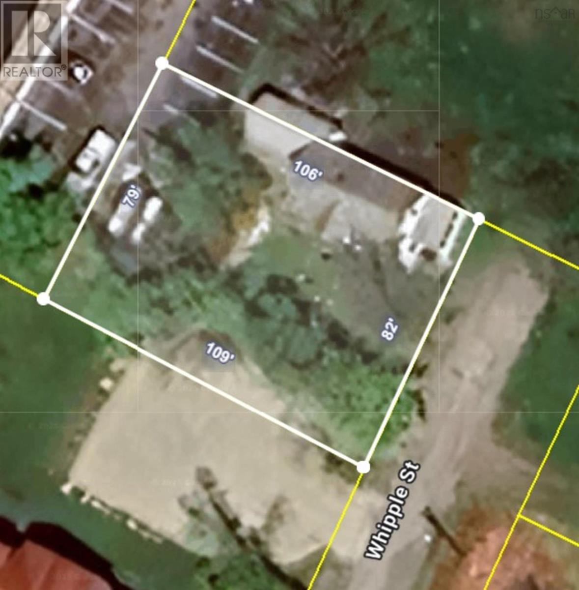
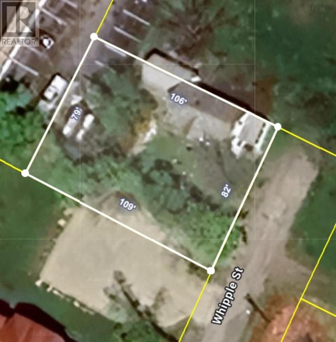
Welcome to 1 Whipple Street, a charming three-bedroom, one-and-a-half-bath home set on a generous 8,000+ sq ft lot in the heart of Yarmouth. Tucked in a quaint, centrally located part of town, youre just minutes from shops and Main Street while still enjoying a peaceful neighborhood feel. Inside, the home has been freshly painted and thoughtfully improved by the current owner. The electrical system has been fully upgraded, a convenient half bath has been added on the main floor, and additional baseboard heaters help keep the living spaces comfortable. A new fiberglass oil tank has replaced the older metal tank, offering extra peace of mind, and the exterior shed has been repaired for practical storage. Whether youre a growing family, a professional couple, or someone ready to downsize without compromising on comfort or convenience - this home delivers. Dont miss the chance to enjoy a walkable location close to everything Yarmouth has to offer. (id:32467)

Property Features

Ammenities Near By

  • Ammenities Near By: Golf Course, Park, Playground, Public Transit, Shopping, Place of Worship

Building

  • Appliances: Range - Electric, Dishwasher, Refrigerator
  • Basement Development: Unfinished
  • Basement Features: Walk out
  • Basement Type: Full (Unfinished)
  • Construction Style: Detached
  • Exterior Finish: Wood shingles
  • Fireplace: No
  • Flooring Type: Laminate, Linoleum, Vinyl
  • Interior Size: 1540 sqft
  • Building Type: House
  • Stories: 1.5
  • Utility Water: Municipal water

Land

  • Land Size: 0.1984 ac
  • Sewer: Municipal sewage system

Ownership

  • Type: Freehold

Structure

  • Structure: Shed

Information entered by Engel & Volkers (Yarmouth)
Listing information last updated on: 2025-12-15 21:16:23


Book your free home evaluation with a 1% REALTOR® now!


How much could you save in commission selling with One Percent Realty?

Slide to select your home's price:

$500,000

Your One Percent Realty Commission savings

$500,000

Savings calculated using One Percent Realty East Inc’s posted commission rates compared to a brokerage charging 5%. (HST is extra). Not all agents charge the same.

One Percent Realty's top FAQs

Q
What is the deal exactly, with One Percent Realty East?

We are a fully licensed real estate brokerage offering the same top-tier services and exposure as the big names in the industry—but at a lower commission rate. Here's what you can expect when you work with us: ✅ Full MLS® system listing ✅ Exposure on all major internet real estate platforms ✅ Professional signage (where permitted) ✅ Property showings and open houses ✅ Strategic advertising to attract buyers ✅ Skilled negotiation to secure the best deal ✅ Seamless conveyancing to ensure a smooth closing With us, you’re getting everything you need to sell your property successfully—just without the high commission fees.

Q
What do you charge?

Simple, Transparent Pricing—No Surprises! Our commission structure is designed to save you money while providing top-tier service: • Residential Properties Under $400,000: $7,950 • Residential Properties Between $400,000 and $900,000: $9,950 • Residential Properties Over $900,000: 1% of the sale price + $950 Plus applicable taxes. Optional Flexibility: You have the option to offer additional commission to the buyer's agent. The choice is entirely yours! For commercial properties, farms, or development properties, please contact a One Percent Realty East agent directly or fill out the market evaluation form at the bottom right of our website. An agent will be in touch to discuss your specific needs. It’s that simple. Maximum service, minimum commission!

Q
Are your listings on MLS®, REALTOR.ca® and shared across the web?

Yes, yes, and yes! Our listings receive maximum exposure on the MLS® system, REALTOR.ca®, and all major real estate websites, ensuring your property gets seen by as many potential buyers as possible. With us, you’re never compromising on visibility—just saving on commission!


Learn more about the One Percent Realty Deal