7 Lot Subdiv Hwy 320, LENNOX PASSAGE

2025-12-16
 

Quick Summary

Location
7 Lot Subdiv Hwy 320, LENNOX PASSAGE, Nova Scotia B0E1K0
Price
$289,000 CAD
Status:
For Sale
Property Type:
Vacant Land

MLS®#202529488

Property Description

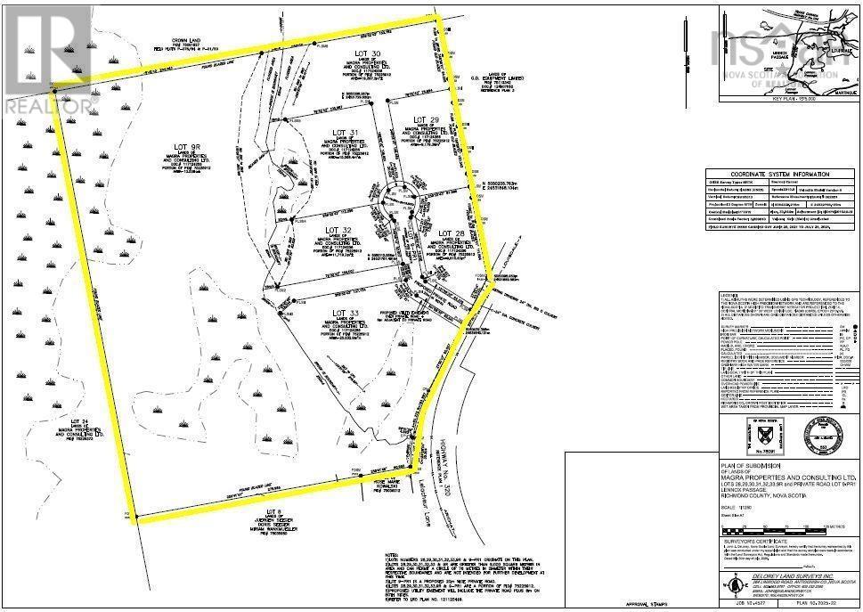
This new development, with 7 beautiful building lots, is in located in an attractive area near the Atlantic Ocean in Lennox Passage, on the outskirts of Louisdale, just before the bridge to Isle Madame. The subdivision totals approx. 57 Acres with lot sizes from approx. 2.3 33 Acres. The private access road ("Regina Lane") will be built in the coming months with power lines running to the end of the lane. Costs for this are included in the purchase price! The "rural zoning" allows the lots to be used for a variety of purposes including single & multi-family homes, a small holiday village, apartment projects, and much more. If desired, all seven properties can be granted an optional Atlantic access right of way in a directly adjacent development, which provides for the joint use of the existing "Common Water Access Area" there (see photos). There is no obligation to build. There are no restrictive covenants. The development is located directly on the Fleur-de-Lis Trail, a paved public road (Hwy 320) and is very well connected to Highway 104 to Sydney. Access to two properties is also possible from LeLacheur Lane. Restaurants and shops for daily needs are available two minutes away in Louisdale. (id:32467)

Property Features

Building

  • Fireplace: No
  • Utility Water: None

Features

  • Feature: Treed

Land

  • Land Size: 56.8342 ac
  • Sewer: No sewage system

Ownership

  • Type: Freehold

Information entered by EXP Realty of Canada Inc.
Listing information last updated on: 2026-02-25 20:13:53


Book your free home evaluation with a 1% REALTOR® now!


How much could you save in commission selling with One Percent Realty?

Slide to select your home's price:

$500,000

Your One Percent Realty Commission savings

$500,000

Savings calculated using One Percent Realty East Inc's posted commission rates compared to a brokerage charging 5%. (HST is extra). Not all agents charge the same.

One Percent Realty's top FAQs

Q
What is the deal exactly, with One Percent Realty East?

We are a fully licensed real estate brokerage offering the same top-tier services and exposure as the big names in the industry—but at a lower commission rate. Here's what you can expect when you work with us: ✅ Full MLS® system listing ✅ Exposure on all major internet real estate platforms ✅ Professional signage (where permitted) ✅ Property showings and open houses ✅ Strategic advertising to attract buyers ✅ Skilled negotiation to secure the best deal ✅ Seamless conveyancing to ensure a smooth closing With us, you’re getting everything you need to sell your property successfully—just without the high commission fees.

Q
What do you charge?

Simple, Transparent Pricing—No Surprises! Our commission structure is designed to save you money while providing top-tier service: • Residential Properties Under $400,000: $7,950 • Residential Properties Between $400,000 and $900,000: $9,950 • Residential Properties Over $900,000: 1% of the sale price + $950 Plus applicable taxes. Optional Flexibility: You have the option to offer additional commission to the buyer's agent. The choice is entirely yours! For commercial properties, farms, or development properties, please contact a One Percent Realty East agent directly or fill out the market evaluation form at the bottom right of our website. An agent will be in touch to discuss your specific needs. It’s that simple. Maximum service, minimum commission!

Q
Are your listings on MLS®, REALTOR.ca® and shared across the web?

Yes, yes, and yes! Our listings receive maximum exposure on the MLS® system, REALTOR.ca®, and all major real estate websites, ensuring your property gets seen by as many potential buyers as possible. With us, you’re never compromising on visibility—just saving on commission!


Learn more about the One Percent Realty Deal