06-4 Hastings Road, HASTINGS

2026-02-07
 

Quick Summary

Location
06-4 Hastings Road, HASTINGS, Nova Scotia B4H3Y3
Price
$44,900 CAD
Status:
For Sale
Property Type:
Vacant Land

MLS®#202601169

Property Description

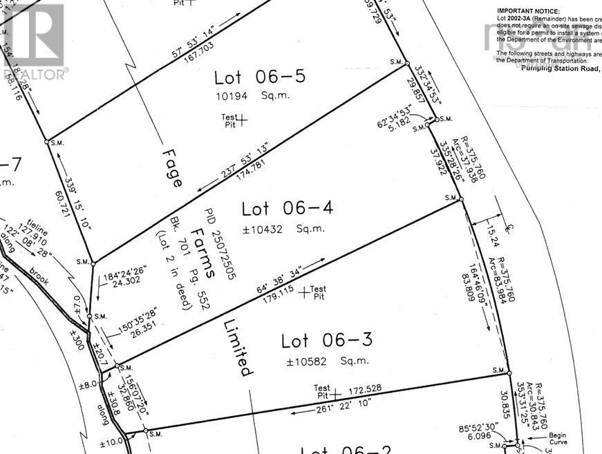
Welcome to this exceptional 2.5-acre building lot located in the desirable area of Hastings-just minutes from the amenities of Amherst, yet nestled in a peaceful country setting. This location truly offers the best of both worlds, along with the benefit of a lower county tax rate. The lot is fairly level, making it suitable for a wide variety of home designs without the added cost of additional fill and extensive grade work. An oversized road approach and a 200-foot driveway base have already been installed, giving you a head start on parcel development. Parcels of this size and value are becoming increasingly hard to find, and this one presents a rare opportunity in a fantastic location. Restrictive covenants are in place to help maintain the quality and appeal of the subdivision. If youve been considering a new build-now or in the future-this lot deserves your attention. Take a look today. Youll be glad you did! (id:32467)

Property Features

Building

  • Fireplace: No
  • Utility Water: None

Land

  • Land Size: 2.5778 ac
  • Sewer: No sewage system

Ownership

  • Type: Freehold

Information entered by Royal LePage Cumberland Realty Ltd.
Listing information last updated on: 2026-02-25 20:14:26


Book your free home evaluation with a 1% REALTOR® now!


How much could you save in commission selling with One Percent Realty?

Slide to select your home's price:

$500,000

Your One Percent Realty Commission savings

$500,000

Savings calculated using One Percent Realty East Inc's posted commission rates compared to a brokerage charging 5%. (HST is extra). Not all agents charge the same.

One Percent Realty's top FAQs

Q
What is the deal exactly, with One Percent Realty East?

We are a fully licensed real estate brokerage offering the same top-tier services and exposure as the big names in the industry—but at a lower commission rate. Here's what you can expect when you work with us: ✅ Full MLS® system listing ✅ Exposure on all major internet real estate platforms ✅ Professional signage (where permitted) ✅ Property showings and open houses ✅ Strategic advertising to attract buyers ✅ Skilled negotiation to secure the best deal ✅ Seamless conveyancing to ensure a smooth closing With us, you’re getting everything you need to sell your property successfully—just without the high commission fees.

Q
What do you charge?

Simple, Transparent Pricing—No Surprises! Our commission structure is designed to save you money while providing top-tier service: • Residential Properties Under $400,000: $7,950 • Residential Properties Between $400,000 and $900,000: $9,950 • Residential Properties Over $900,000: 1% of the sale price + $950 Plus applicable taxes. Optional Flexibility: You have the option to offer additional commission to the buyer's agent. The choice is entirely yours! For commercial properties, farms, or development properties, please contact a One Percent Realty East agent directly or fill out the market evaluation form at the bottom right of our website. An agent will be in touch to discuss your specific needs. It’s that simple. Maximum service, minimum commission!

Q
Are your listings on MLS®, REALTOR.ca® and shared across the web?

Yes, yes, and yes! Our listings receive maximum exposure on the MLS® system, REALTOR.ca®, and all major real estate websites, ensuring your property gets seen by as many potential buyers as possible. With us, you’re never compromising on visibility—just saving on commission!


Learn more about the One Percent Realty Deal