57 Black River Road, SPRINGHILL

2026-02-10
 

Quick Summary

Location
57 Black River Road, SPRINGHILL, Nova Scotia B0M1X0
Price
$134,900 CAD
Status:
For Sale
Property Type:
Vacant Land

MLS®#202602531

Property Description

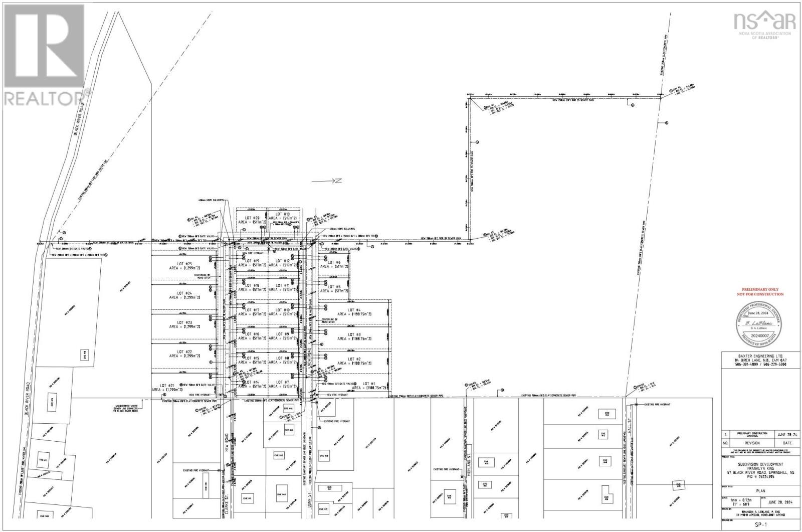
Looking for a Residential Development Opportunity? If youve been struggling to find the right parcel with access to municipal services, this offering may be exactly what youve been waiting for. This package consists of two properties (multiple PIDs) with access from five separate existing roads, as well as direct access via a 3,600 sq. ft. parcel with frontage on Black River Road! Some preliminary development work has already been completed, envisioning approximately 25 residential building lots. The preliminary work includes, but is not limited to, elevations, estimated costs for water and sewer connections, road construction, and other related expenses in accordance with municipal subdivision requirements. A purchaser can choose to continue with the existing concept or pursue an entirely different development approach-the possibilities are endless. Parcels of this size, with municipal services and multiple access points, are not always easy to find, especially in already developed areas. This is an excellent opportunity for developers or investors looking to build now or add a strategic holding to their portfolio for future development! (id:32467)

Property Features

Building

  • Fireplace: No
  • Utility Water: None

Land

  • Land Size: 48.0872 ac
  • Sewer: No sewage system

Ownership

  • Type: Freehold

Information entered by Royal LePage Cumberland Realty Ltd.
Listing information last updated on: 2026-03-04 08:16:26


Book your free home evaluation with a 1% REALTOR® now!


How much could you save in commission selling with One Percent Realty?

Slide to select your home's price:

$500,000

Your One Percent Realty Commission savings

$500,000

Savings calculated using One Percent Realty East Inc's posted commission rates compared to a brokerage charging 5%. (HST is extra). Not all agents charge the same.

One Percent Realty's top FAQs

Q
What is the deal exactly, with One Percent Realty East?

We are a fully licensed real estate brokerage offering the same top-tier services and exposure as the big names in the industry—but at a lower commission rate. Here's what you can expect when you work with us: ✅ Full MLS® system listing ✅ Exposure on all major internet real estate platforms ✅ Professional signage (where permitted) ✅ Property showings and open houses ✅ Strategic advertising to attract buyers ✅ Skilled negotiation to secure the best deal ✅ Seamless conveyancing to ensure a smooth closing With us, you’re getting everything you need to sell your property successfully—just without the high commission fees.

Q
What do you charge?

Simple, Transparent Pricing—No Surprises! Our commission structure is designed to save you money while providing top-tier service: • Residential Properties Under $400,000: $7,950 • Residential Properties Between $400,000 and $900,000: $9,950 • Residential Properties Over $900,000: 1% of the sale price + $950 Plus applicable taxes. Optional Flexibility: You have the option to offer additional commission to the buyer's agent. The choice is entirely yours! For commercial properties, farms, or development properties, please contact a One Percent Realty East agent directly or fill out the market evaluation form at the bottom right of our website. An agent will be in touch to discuss your specific needs. It’s that simple. Maximum service, minimum commission!

Q
Are your listings on MLS®, REALTOR.ca® and shared across the web?

Yes, yes, and yes! Our listings receive maximum exposure on the MLS® system, REALTOR.ca®, and all major real estate websites, ensuring your property gets seen by as many potential buyers as possible. With us, you’re never compromising on visibility—just saving on commission!


Learn more about the One Percent Realty Deal