Lot 2 Narrows Road, LABELLE

2026-03-19
 

Quick Summary

Location
Lot 2 Narrows Road, LABELLE, Nova Scotia B0T1E0
Price
$99,900 CAD
Status:
For Sale
Property Type:
Vacant Land

MLS®#202604961

Property Description

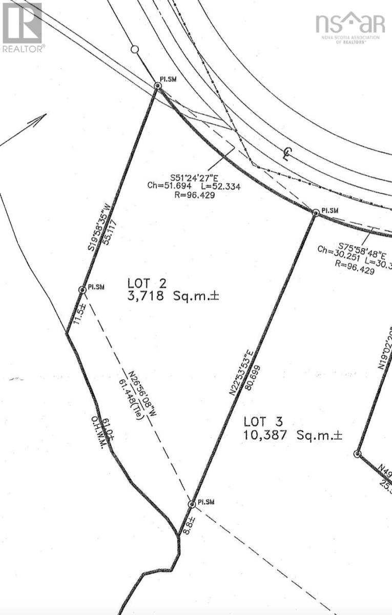
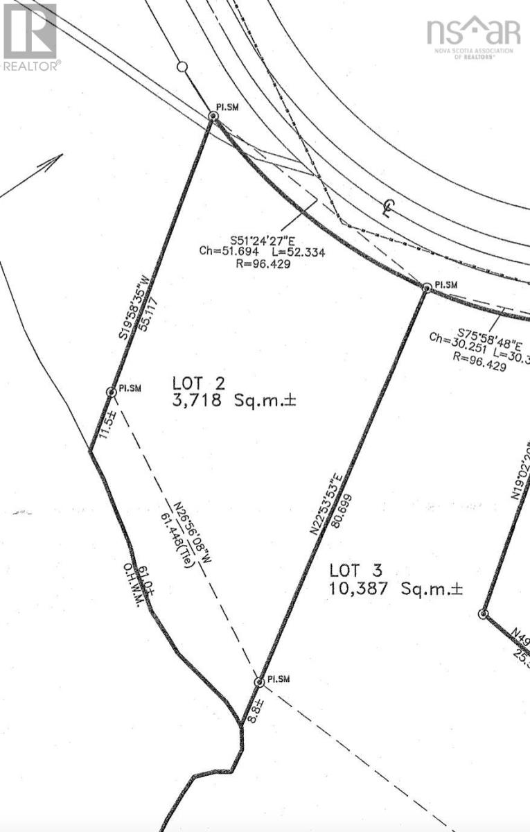
200 Feet of Pure Lake Magic! Welcome to Black Rattle Lakeyour future backyard playground! With waterfront along the shores of Black Rattle Lake in the heart of Labelle's Cottage Country, this lot is ready for your dream cottage or lakeside escape. Tucked on a quiet road, but just minutes from Greenfield for takeout, groceries, NSLC and more, this spot gives you the perfect mix of peace, privacy, and practicality. Whether youre craving a weekend getaway or a forever retreat, the lake, the trees, and the fresh air are calling. This isnt just a lot. Its a playground, a sanctuary, and a blank canvas for the memories youve been dreaming of. Live your lake life. Make Black Rattle Lake yours. (id:32467)

Property Features

Building

  • Fireplace: No
  • Utility Water: None

Features

  • Feature: Treed

Land

  • Land Size: 0.9187 ac
  • Sewer: No sewage system

Ownership

  • Type: Freehold

Information entered by EXIT Realty Inter Lake
Listing information last updated on: 2026-04-24 19:11:43


Book your free home evaluation with a 1% REALTOR® now!


How much could you save in commission selling with One Percent Realty?

Slide to select your home's price:

$500,000

Your One Percent Realty Commission savings

$500,000

Savings calculated using One Percent Realty East Inc's posted commission rates compared to a brokerage charging 5%. (HST is extra). Not all agents charge the same.

One Percent Realty's top FAQs

Q
What is the deal exactly, with One Percent Realty East?

We are a fully licensed real estate brokerage offering the same top-tier services and exposure as the big names in the industry—but at a lower commission rate. Here's what you can expect when you work with us: ✅ Full MLS® system listing ✅ Exposure on all major internet real estate platforms ✅ Professional signage (where permitted) ✅ Property showings and open houses ✅ Strategic advertising to attract buyers ✅ Skilled negotiation to secure the best deal ✅ Seamless conveyancing to ensure a smooth closing With us, you’re getting everything you need to sell your property successfully—just without the high commission fees.

Q
What do you charge?

Simple, Transparent Pricing—No Surprises! Our commission structure is designed to save you money while providing top-tier service: • Residential Properties Under $400,000: $7,950 • Residential Properties Between $400,000 and $900,000: $9,950 • Residential Properties Over $900,000: 1% of the sale price + $950 Plus applicable taxes. Optional Flexibility: You have the option to offer additional commission to the buyer's agent. The choice is entirely yours! For commercial properties, farms, or development properties, please contact a One Percent Realty East agent directly or fill out the market evaluation form at the bottom right of our website. An agent will be in touch to discuss your specific needs. It’s that simple. Maximum service, minimum commission!

Q
Are your listings on MLS®, REALTOR.ca® and shared across the web?

Yes, yes, and yes! Our listings receive maximum exposure on the MLS® system, REALTOR.ca®, and all major real estate websites, ensuring your property gets seen by as many potential buyers as possible. With us, you’re never compromising on visibility—just saving on commission!


Learn more about the One Percent Realty Deal