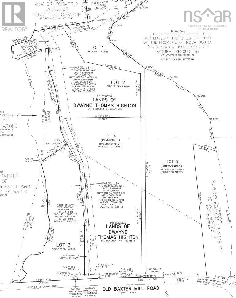
Lot 4 Old Baxter Mill Road, BAXTERS HARBOUR

2026-04-14
 

Quick Summary

Location
Lot 4 Old Baxter Mill Road, BAXTERS HARBOUR, Nova Scotia B0P1H0
Price
$210,000 CAD
Status:
For Sale
Property Type:
Vacant Land
Video Link:

MLS®#202607333

Property Description

Perched above the breathtaking Bay of Fundy, this exceptional 4.68-acre property in charming Baxters Harbour offers an incredible opportunity to bring your vision to life. Partially cleared with a driveway already in place, and power poles conveniently located at the road for easy connection, the groundwork is set for your next development project or dream home. Enjoy deeded access to two beautiful beaches, including the renowned Black Hole Beach, and take advantage of being within walking distance to the scenic hiking trails leading to Black Hole Falls and Baxters Harbour Fallsperfect for nature lovers and outdoor enthusiasts. Ideally located just 15 minutes from the quaint village of Canning and under 30 minutes to the vibrant town of Wolfville and Acadia University, this property combines peaceful rural living with convenient access to amenities, dining, and culture and is ideally located just a short drive from the Saltair Nordic Spa & Wellness Centre, offering a perfect blend of coastal tranquility and nearby wellness amenities. With sweeping bay views and endless potential, this is your chance to create something truly special in one of Nova Scotias most picturesque coastal settings. (id:32467)

Property Features

Building

  • Fireplace: No
  • Utility Water: None

Features

  • Feature: Treed, Sloping, Partially cleared

Land

  • Land Size: 4.6826 ac
  • Sewer: No sewage system

Ownership

  • Type: Freehold

Information entered by Royal LePage Atlantic (Greenwood)
Listing information last updated on: 2026-04-22 21:50:03


Book your free home evaluation with a 1% REALTOR® now!


How much could you save in commission selling with One Percent Realty?

Slide to select your home's price:

$500,000

Your One Percent Realty Commission savings

$500,000

Savings calculated using One Percent Realty East Inc's posted commission rates compared to a brokerage charging 5%. (HST is extra). Not all agents charge the same.

One Percent Realty's top FAQs

Q
What is the deal exactly, with One Percent Realty East?

We are a fully licensed real estate brokerage offering the same top-tier services and exposure as the big names in the industry—but at a lower commission rate. Here's what you can expect when you work with us: ✅ Full MLS® system listing ✅ Exposure on all major internet real estate platforms ✅ Professional signage (where permitted) ✅ Property showings and open houses ✅ Strategic advertising to attract buyers ✅ Skilled negotiation to secure the best deal ✅ Seamless conveyancing to ensure a smooth closing With us, you’re getting everything you need to sell your property successfully—just without the high commission fees.

Q
What do you charge?

Simple, Transparent Pricing—No Surprises! Our commission structure is designed to save you money while providing top-tier service: • Residential Properties Under $400,000: $7,950 • Residential Properties Between $400,000 and $900,000: $9,950 • Residential Properties Over $900,000: 1% of the sale price + $950 Plus applicable taxes. Optional Flexibility: You have the option to offer additional commission to the buyer's agent. The choice is entirely yours! For commercial properties, farms, or development properties, please contact a One Percent Realty East agent directly or fill out the market evaluation form at the bottom right of our website. An agent will be in touch to discuss your specific needs. It’s that simple. Maximum service, minimum commission!

Q
Are your listings on MLS®, REALTOR.ca® and shared across the web?

Yes, yes, and yes! Our listings receive maximum exposure on the MLS® system, REALTOR.ca®, and all major real estate websites, ensuring your property gets seen by as many potential buyers as possible. With us, you’re never compromising on visibility—just saving on commission!


Learn more about the One Percent Realty Deal